福井県小浜沖では、旬のイサギが釣れ盛っています。
少ない人でも2ケタ釣果、よい人は50尾超の大釣りもあり、船中全員が土産十分。
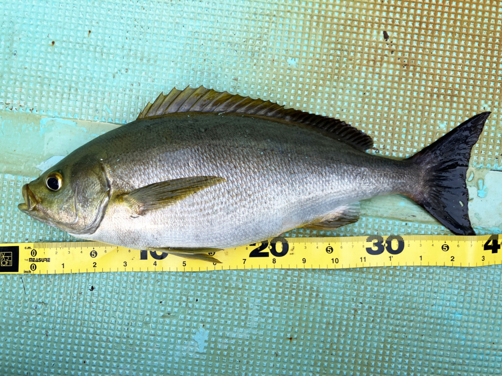
しかも注目すべきは、その型のよさ。浅ダナを狙えば、小さくても30cm前後、時合には40cm超をまじえて、体高のある35cm級が連発です。

今回は、そんな魅力ある小浜沖のイサギ釣りをレポートします。
“誰でも釣れる!”絶好調の小浜沖のイサギ
福井県小浜・西津港の幸翔丸(竹内幸船長)が、ここ近年本格的に狙っている、小浜沖のイサギ。
天ビンズボで浅ダナを狙うので、ビギナーにもチャレンジしやすく、今年もシーズン開幕以降、1人2ケタ釣果は当たり前、よい人クーラー満タンの爆釣が続いています。
しかも、イサギは脂が乗って、今が旬。
型も30cm前後が平均で、魅力タップリです。
丸々と肥えた良型を期待して出掛けましたが、好釣果続きなので、平日ながら12人の満船で出船しました。
着いたポイントは、小浜沖の水深45mの瀬。

この日は潮が動いておらず、船長は「おそらく釣れん!? やろうけど、(タナは)15~20mでやってみて」と、不安になる開始の合図を出しました。
皆が一斉に仕かけを下ろすと、船長の予想とは裏腹に、すぐに竿が曲がりました。
上がったのは25cm級のイサギ。

サイズはともかく、釣れない予想を覆す1尾に安堵します。
すると、ここから船中でバタバタとイサギが上がり出しました。



そして、指示ダナの上で釣る人は、サイズもデカいのがほとんど。30cm前後がアベレージで、中にはダブルもありました。



よい人は一気にツ抜け、短時間で土産は十分です。
船中全員が土産をゲットした頃に、船長が「はよ釣らな、食わんなるで」。その言葉で、記者も仕かけを下ろしました。
皆が釣れているタナに合わせると、すぐに30cm級がヒット。
2投目はダブルでした。

やや食いが落ちたタイミングでは、タナを下げた人にはサイズがダウンしますが、食いは続きます。
この日は潮が動かないので、25~15mまでのタナを電動リールのスローで巻き上げる誘いも有効で、このパターンで入れ食いさせている人もいました。
記者は型を狙って、浅ダナの置き竿でじっくり。すると、これが奏功しました。
タナを取って即ヒットはありませんが、2、3分待てば、竿先が海面へ突っ込みます。
特に、夕まずめは凄かったです。
指示ダナ「15m」で、記者は10~11mの浅ダナ狙い。
すると、前半よりも、ひと回わり大きな体高のある、ジャンボな35cm前後がダブルを含めて釣れ続きました。

記者は39cmを頭にクーラーに入りきらないボリューム満点の好釣果。
船中では40cm級を頭によい人60尾、少ない人でも19尾と全員が土産十分の爆釣。



最大では43cmのスーパージャンボサイズも上がり、釣れたタナを聞くとナント「7m」の超浅ダナでした。


脂が乗りに乗って、美味な小浜沖のジャンボイサギは、今が狙い時です!
ケンサキイカ狙いとの豪華2本立てもあり!
幸翔丸のイサギ狙いでは、早朝から午後までのイサギ専門便と、当日のような13時出船で23時沖上がりのイサギ&イカの半夜リレー便があります。
取材時は、エリア的にはまだスルメイカ狙いがメインでしたが、前日のスルメイカの釣果が思わしくなかったため、ハシリのケンサキイカ狙いにチャレンジ。小浜沖の水深66mラインにアンカリングしました。

潮は表層から底まで緩く、メタルスッテは15号でほぼ真下の状態。
集魚灯が効き始めた頃に、底から10m上でポンポンとケンサキイカがヒットしました。



その後、ベイトの反応が濃くなってくると、30~45mでもアタリがでていました。



小浜沖では梅雨入り以降、ケンサキイカの気配が濃くなってきており、本番も間もなくの様相。
半夜リレー便なら、イサギとケンサキイカの豪華2本立て(1人14000円、エサ別、氷付き)も楽しめます。























